
Hurrikan "Melissa" trifft mit voller Kraft auf Jamaika
n-tv
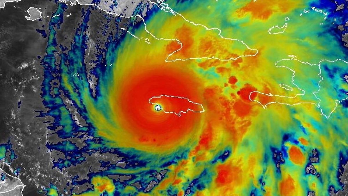
Seit Tagen zieht "Melissa" über Wasser in Richtung Jamaika. Jetzt trifft der Hurrikan mit einer atemberaubenden Windgeschwindigkeit auf Land in dem Karibikstaat. Experten befürchten verheerende Auswirkungen.
Als Hurrikan der höchsten Kategorie 5 ist der Wirbelsturm "Melissa" auf Jamaika getroffen. Mit anhaltenden Windgeschwindigkeiten von 295 Kilometern pro Stunde erreichte "Melissa" nahe der Ortschaft New Hope die Südwestküste des Karibikstaats, wie das US-Hurrikanzentrum NHC in Miami mitteilte. Es ist demnach einer der stärksten Hurrikane, die je im Atlantik aufgetreten sind. Die Lage sei extrem gefährlich und lebensbedrohlich.
Auch Regierungschef Andrew Holness rechnete mit schweren Schäden. "In dieser Region gibt es keine Infrastruktur, die einem Hurrikan der Kategorie 5 standhalten kann", sagte er.













